Weggestaltung / Planungsdetails
- Diese Seite ist eine Zusammenfassung der detaillierten Maßnahmenbeschreibung in der Gemeinderats-DS 278/2025 (Textteil und Pläne).
- Zum Vergrößern der Lageplan-Ausschnitte (s.u.) auf das Bild klicken.
Allgemeine Gestaltung
Der vom Radweg durch Kleinpflaster getrennte Gehweg wird barrierefrei gestaltet und in Bereichen, in denen ausreichend Platz zur Verfügung steht, durch einen Grünstreifen vom Radweg getrennt. Zielbild ist dabei der neue Neckaruferweg zwischen der Knorrstraße und dem Wertwiesenpark. Die Randbereiche der Trasse werden mittels Vegetation aufgewertet, sodass der Raum auch zur Erholung und nicht nur als einfache Infrastruktur zur Verfügung steht. Bankstandorte und Infostelen zu der ehemaligen Bottwarbahn sind geplant.

Abschnitt West: Sontheimer Landwehr bis Charlottenstraße
Die Fuß- und Radwegverbindung verläuft entlang der ehemaligen Bottwarbahntrasse. Der Planungsraum beginnt im Süden an der Sontheimer Landwehr. Dort sind sowohl Brücke als auch Bahndamm vorhanden. Der Abbruch beider Elemente ist mit enormen Kosten verbunden. Zudem zeichnet sich der Abschnitt durch einen hochwertigen Bewuchs mit Büschen und Bäumen aus, den es zu erhalten gilt. Daher werden die Radfahrenden von der Sontheimer Landwehr (Anm.: als Querungshilfe wird dort eine Mittelinsel eingerichtet) bis zur Schwindstraße auf der Fahrbahn der Merkurstraße geführt. Der Abschnitt wird zur Fahrradstraße umgewandelt.
Auf Höhe der Schwindstraße sind Bahntrasse und Straße auf einem Niveau, sodass Radfahrende und Fußgänger ab hier auf der Bottwarbahntrasse geführt werden können. Die Aufleitung erfolgt für Rad- und Fußverkehr voneinander getrennt. Im weiteren Verlauf liegen die Wege durch einen taktilen Trennstreifen getrennt parallel nebeneinander. Die Breite des Radwegs beträgt durchgehend 3,0 m, die des Gehwegs 2,5 m.
An der Kreuzung der neu geplanten Infrastruktur mit der Eythstraße wird der Fuß- und Radverkehr über einen aufgepflasterten Übergang bevorrechtigt. Um die Sichten zu verbessern, wird die Eythstraße verlegt, damit diese beinahe senkrecht auf die Bottwahrbahntrasse trifft. Günstiger Nebeneffekt ist, dass rund 450 m² Straßenfläche entsiegelt werden können.
Da die Trasse im weiteren Verlauf etwas breiter ist, können Rad- und Fußverkehr räumlich getrennt werden. Das Zielbild stellt hier der jüngst hergestellte getrennte Geh- und Radweg am Neckarufer dar: Büsche und Rastflächen mit Sitzgelegenheiten laden dazu ein, den Weg nicht nur als Verbindung anzunehmen, sondern diesen auch als Erholungsraum zu nutzen.
Kurz vor der Kreuzung mit der Heinrich-Heine-Straße steht die ehemalige Bahntrasse nicht mehr in voller Breite zur Verfügung. An dieser lokalen Engstelle wird der Radfahrende zusammen mit dem Fußgänger auf einem gemeinsamen Geh- und Radweg mit einer Breite von 2,5 m geführt.
Da auch die Heinrich-Heine-Straße in einem sehr spitzen Winkel auf die Trasse trifft und dort drei Straßen ineinander münden, ergibt sich eine komplizierte Verkehrssituation, die es zu lösen gilt: Die Herderstraße wird von der Heinrich-Heine-Straße getrennt und zunächst auf den Wielandweg geführt. So wird erreicht, dass die Verkehre entzerrt und die Komplexität reduziert werden. Im weiteren Verlauf trennt ein Kleinpflasterstreifen den Rad- und Fußweg.
Ob der Weg auf den letzten Metern bis zur Charlottenstraße am bestehenden Parkplatz vorbei geführt werden kann (vgl. Planausschnitt), ist derzeit noch in Klärung.
Die Querung der im Vergleich zu heute auf eine Fahrspur je Richtung verengten Charlottenstraße erfolgt signalgeregelt.
Abschnitt Mitte: Charlottenstraße bis Cäcilienbrunnenstraße
Nach der Querung der Charlottenstraße münden die neuen Infrastrukturen in die bestehende Wegeverbindung des Südbahnhofareals, welche an der Cäcilienbrunnenstraße endet. Der kombinierte Rad-/Fußweg durch das Südbahnhofareal weist auf der gesamten Länge eine Breite von 3 m auf.
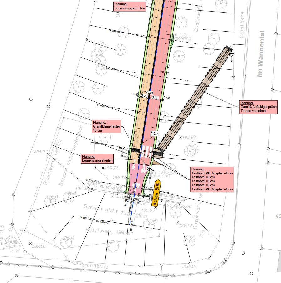
Abschnitt Ost: Cäcilienbrunnenstraße bis Jägerhausstraße
An der Querung mit der Cäcilienbrunnenstraße wird die Systematik der Eythstraße sowie der Heinrich-Heine-Straße fortgeführt: Durch eine Aufpflasterung wird der Trasse gegenüber dem kreuzenden Verkehr Vorrang eingeräumt. Bis kurz vor dem Tunnelportal ist die Aufteilung des Raums gemäß Zielbild „Neckaruferweg“ vorgesehen. Der Tunnelquerschnitt lässt aufgrund seiner Breite keine Trennung der Verkehrsarten zu. Daher werden die Verkehrsteilnehmer im Tunnel auf einer gemeinsamen 3,5 m breiten Infrastruktur geführt. Vor beiden Portalen bieten neue geschaffene Treppenanlagen die Möglichkeit, die Trasse ggf. vor dem Tunnel verlassen zu können.
Zur Gestaltung des Wegs im Tunnel siehe separate Seite „Lerchenbergtunnel„.
Auf der Nordseite des Tunnels wird der Geh- und Radweg wieder getrennt. Im Einschnitt verläuft die Trasse weiter, bis sie beim Eingang des Friedhofes das Niveau der Straße „Im Wannental“ erreicht. Die Ableitung des Fuß- und Radverkehrs erfolgt analog zum Beginn der Infrastrukturen an der Merkurstraße in getrennter Form. Von dort werden Radfahrende auf der Fahrbahn der Straße Im Wannental geführt, die zu einer Fahrradstraße umgewandelt wird. An der Jägerhausstraße wird die neue Verbindung mit der Radroute Ost verknüpft. Eine Weiterführung der Infrastrukturen auf der ehemaligen Bahntrasse ist nicht vorgesehen, da hochwertige Vegetation vernichtet werden müsste und sich der Abbruch des Bahndamms inkl. Widerlager der ehemaligen Bahnbrücke als zu kostenintensiv darstellt.
Weiterlesen: Projekthistorie >>
<< Streckenführung (Zurück)








